Salta ai contenuti.Salta alla navigazione

Dal 9 dicembre 2025 al 12 gennaio 2026 compresi non sarà possibile effettuare acquisti sul nostro sito web. Potrete tornare a fare i vostri acquisti online dal 13 gennaio 2026.

Dal 9 dicembre 2025 al 12 gennaio 2026 compresi non sarà possibile effettuare acquisti sul nostro sito web. Potrete tornare a fare i vostri acquisti online dal 13 gennaio 2026.

057222 SALUGGIA

SALUGGIA
10.0 NETTO IVA 22.0%
  • Disponibilita'
  • Accedi al sito per procedere con l'acquisto
Punti trigonometrici scheda descrittiva
Le schede monografiche dei punti trigonometrici non sono visibili poiche' al momento e' in corso la loro digitalizzazione: prima di acquistare il punto si consiglia di contattare l'archivio geodetico per avere maggiori informazioni
057222     SALUGGIA
Cartografia Serie 25 136 sez III Livorno Ferraris
Serie 25V 057 IVSO Saluggia
Localizzazione
Nazione ITALIA
Regione PIEMONTE
Provincia VERCELLI
Comune SALUGGIA
Carabinieri LIVORNO FERRARIS
Coordinate Attenzione Le coordinate geografiche sono in gradi sessagesimali approssimate al secondo. Le coordinate piane e le quote sono espresse in metri con cifre significative fino al decametro.
ROMA40   ETRF2000   Quote
Φ 45° 13' 58"   Φ 45° 14'   s.l.m. 170
λ -04° 26' 41"   λ 08° 00' 26"   Quote ellisoidica  
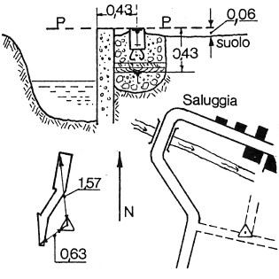
Materializzazione Sulla campestre che parte dalla Saluggia - Torrazza circa 200 m. a Sud di Ponte Incastro. Centrino di fondo e in asse un centrino di superficie, cementati in blocchi indipendenti in prossimità della sede in cemento di una piccola chiusa circa 150 m. ad Est della strada Saluggia-Torrazza. GPS
Accesso
Informazioni Ausiliare
Produttore IGM
Segnalizzato 1988
Modalita':  Vertici trigonometrici di certa definizione
Immagini:




Monografia Foto2
(Clicca sulle immagini per ingrandire)
Message