Salta ai contenuti.Salta alla navigazione

Dal 9 dicembre 2025 al 12 gennaio 2026 compresi non sarà possibile effettuare acquisti sul nostro sito web. Potrete tornare a fare i vostri acquisti online dal 13 gennaio 2026.

Dal 9 dicembre 2025 al 12 gennaio 2026 compresi non sarà possibile effettuare acquisti sul nostro sito web. Potrete tornare a fare i vostri acquisti online dal 13 gennaio 2026.

044241 CAMERI

CAMERI
10.0 NETTO IVA 22.0%
  • Disponibilita'
  • Accedi al sito per procedere con l'acquisto
Punti trigonometrici scheda descrittiva
Le schede monografiche dei punti trigonometrici non sono visibili poiche' al momento e' in corso la loro digitalizzazione: prima di acquistare il punto si consiglia di contattare l'archivio geodetico per avere maggiori informazioni
044241     CAMERI
Cartografia Serie 25 116 sez I Bellinzago Novarese
Serie 25V 044 IVSE Bellinzago Novarese
Localizzazione
Nazione ITALIA
Regione PIEMONTE
Provincia NOVARA
Comune CAMERI
Carabinieri CAMERI
Coordinate Attenzione Le coordinate geografiche sono in gradi sessagesimali approssimate al secondo. Le coordinate piane e le quote sono espresse in metri con cifre significative fino al decametro.
ROMA40   ETRF2000   Quote
Φ 45° 30' 46"   Φ 45° 30' 48"   s.l.m. 160
λ -03° 47' 25"   λ 08° 39' 42"   Quote ellisoidica  
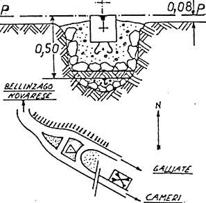
Materializzazione Centrini di fondo e di superficie coassiali, cementati in blocchi indipendenti nell' interno dell'aiuola spartitraffico, al bivio tra la strada proveniente dal cimitero di Cameri e la tangenziale al Comune stesso in direzione di Bellinzago Novarese. (GPS)
Accesso Dall'autostrada Milano -Torino(uscita Galliate), superato il cetro abitato di Cameri, 500 metri oltre il cimitero in direzione di Bellinzago Novarese, al bivio con la tagenziale al comune di Cameri.
Informazioni Ausiliare
Produttore IGM
Segnalizzato 1988
Modalita':  Vertici trigonometrici di certa definizione
Immagini:




Monografia Foto 1
(Clicca sulle immagini per ingrandire)
Message