Salta ai contenuti.Salta alla navigazione

Dal 9 dicembre 2025 al 12 gennaio 2026 compresi non sarà possibile effettuare acquisti sul nostro sito web. Potrete tornare a fare i vostri acquisti online dal 13 gennaio 2026.

Dal 9 dicembre 2025 al 12 gennaio 2026 compresi non sarà possibile effettuare acquisti sul nostro sito web. Potrete tornare a fare i vostri acquisti online dal 13 gennaio 2026.

043264 GALLI

GALLI
10.0 NETTO IVA 22.0%
  • Disponibilita'
  • Accedi al sito per procedere con l'acquisto
Punti trigonometrici scheda descrittiva
Le schede monografiche dei punti trigonometrici non sono visibili poiche' al momento e' in corso la loro digitalizzazione: prima di acquistare il punto si consiglia di contattare l'archivio geodetico per avere maggiori informazioni
043264     GALLI
Cartografia Serie 25 115 sez IV Biella
Serie 25V 043 IVSO Biella
Localizzazione
Nazione ITALIA
Regione PIEMONTE
Provincia BIELLA
Comune MONGRANDO
Carabinieri MONGRANDO
Coordinate Attenzione Le coordinate geografiche sono in gradi sessagesimali approssimate al secondo. Le coordinate piane e le quote sono espresse in metri con cifre significative fino al decametro.
ROMA40   ETRF2000   Quote
Φ 45° 31' 37"   Φ 45° 31' 39"   s.l.m. 330
λ -04° 26' 11"   λ 08° 00' 56"   Quote ellisoidica  
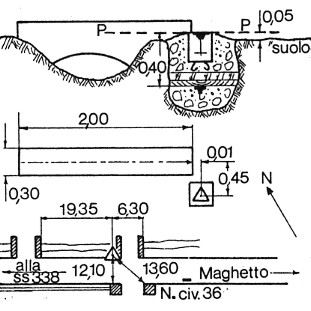
Materializzazione Sulla strada che conduce dalla S.S. 338 a Maghetto a circa 400 m. dalla statale. Centrino di fondo e in asse un centrino di superficie, cementati in blocchi indipendenti addossati ad un tombino che permette l'accesso al campo a Nord della strada di fronte al n. civico 34. (GPS)
Accesso Dalla statale 338 al Km 6,600 circa si prende il bivio a Est che conduce a Maghetto e dopo circa Km 0,400 è situato il punto.
Informazioni Ausiliare
Produttore IGM
Segnalizzato 1989
Modalita':  Vertici trigonometrici di certa definizione
Immagini:




Monografia Foto 1 Foto2
(Clicca sulle immagini per ingrandire)
Message