Salta ai contenuti.Salta alla navigazione

Dal 9 dicembre 2025 al 12 gennaio 2026 compresi non sarà possibile effettuare acquisti sul nostro sito web. Potrete tornare a fare i vostri acquisti online dal 13 gennaio 2026.

Dal 9 dicembre 2025 al 12 gennaio 2026 compresi non sarà possibile effettuare acquisti sul nostro sito web. Potrete tornare a fare i vostri acquisti online dal 13 gennaio 2026.

189093 SERRA D' ALTA

SERRA D' ALTA
10.0 NETTO IVA 22.0%
  • Disponibilita'
  • Accedi al sito per procedere con l'acquisto
Punti trigonometrici scheda descrittiva
Le schede monografiche dei punti trigonometrici non sono visibili poiche' al momento e' in corso la loro digitalizzazione: prima di acquistare il punto si consiglia di contattare l'archivio geodetico per avere maggiori informazioni
189093     SERRA D' ALTA
Cartografia Serie 25 472 sez II Matera
Serie 25V 189 IIISE Matera Nord
Localizzazione
Nazione ITALIA
Regione BASILICATA
Provincia MATERA
Comune MATERA
Carabinieri MATERA
Coordinate Attenzione Le coordinate geografiche sono in gradi sessagesimali approssimate al secondo. Le coordinate piane e le quote sono espresse in metri con cifre significative fino al decametro.
ROMA40   ETRF2000   Quote
Φ 40° 41' 46"   Φ 40° 41' 48"   s.l.m. 400
λ 04° 09' 55"   λ 16° 37' 03"   Quote ellisoidica  
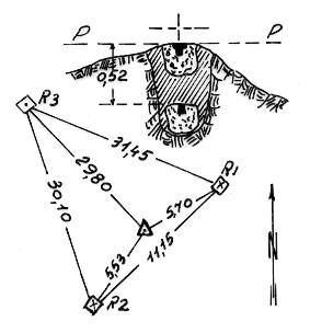
Materializzazione Segnale sullo speroncino collinoso meridionale del monticello omonimo. Pilastrino in calcestruzzo con centrino di superficie alla sommità e sottostante centrino di fondo. Tre riferimenti in pietra.
Accesso
Informazioni Ausiliare
Produttore IGM
Segnalizzato 1948
Modalita':  Vertici trigonometrici di certa definizione
Immagini:




Monografia
(Clicca sulle immagini per ingrandire)
Message