Salta ai contenuti.Salta alla navigazione

(A) 160071 MONTE CAIRO

MONTE CAIRO

Punti associati:

10.0 NETTO IVA 22.0%
  • Disponibilita'
  • Accedi al sito per procedere con l'acquisto
Punti trigonometrici scheda descrittiva
Le schede monografiche dei punti trigonometrici non sono visibili poiche' al momento e' in corso la loro digitalizzazione: prima di acquistare il punto si consiglia di contattare l'archivio geodetico per avere maggiori informazioni
160071     (A) MONTE CAIRO
Cartografia Serie 25 403 sez IV Castrocielo
Serie 25V 160 ISO Terelle
Localizzazione
Nazione ITALIA
Regione LAZIO
Provincia FROSINONE
Comune TERELLE
Carabinieri CASSINO
Coordinate Attenzione Le coordinate geografiche sono in gradi sessagesimali approssimate al secondo. Le coordinate piane e le quote sono espresse in metri con cifre significative fino al decametro.
ROMA40   ETRF2000   Quote
Φ 41° 32' 27"   Φ 41° 32' 30"   s.l.m. 1660
λ 01° 18'   λ 13° 45' 38"   Quote ellisoidica  
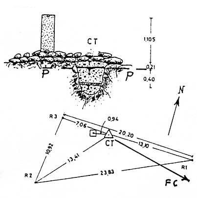
Materializzazione F. C. Centrino cementato su roccia a poca distanza dal pilastrino.
Accesso
Informazioni Ausiliare
Produttore IGM
Segnalizzato 1876
Modalita':  Vertici trigonometrici di certa definizione
Immagini:




Monografia
(Clicca sulle immagini per ingrandire)
Message