Salta ai contenuti.Salta alla navigazione

Dal 9 dicembre 2025 al 12 gennaio 2026 compresi non sarà possibile effettuare acquisti sul nostro sito web. Potrete tornare a fare i vostri acquisti online dal 13 gennaio 2026.

Dal 9 dicembre 2025 al 12 gennaio 2026 compresi non sarà possibile effettuare acquisti sul nostro sito web. Potrete tornare a fare i vostri acquisti online dal 13 gennaio 2026.

0166#_###_047# BAGNORE - SP 6 KM 2,100 (Ponte)

0166#_###_047# BAGNORE - SP 6 KM 2,100 (Ponte)
20.0 NETTO IVA 22.0%
  • Disponibilita'
  • Accedi al sito per procedere con l'acquisto
Ultimo aggiornamento DB 2018-11-06, Scheda generata il 07/11/2018.
caposaldi di livellazione scheda descrittiva
Prima di acquistare questo caposaldo si consiglia di scaricare la scheda della monografia presente in questa pagina, per verificare, con un sopralluogo, il buon stato di conservazione della materializzazione (a volte danneggiata da ristrutturazioni edili, stradali, eventi naturali, vandalismi ecc)
0166#_###_047#     BAGNORE - SP 6 KM 2,100
Coordinate
ROMA40   ETRF2000  
ROMA40 Φ       42° 50' 44"   ETRF2000 Φ       42° 50' 46"  
ROMA40 λ      -00° 52' 45"   ETRF2000 λ       11° 34' 22"  
 
Localita e Cartografia
Comune SANTA FIORA           Serie 100 129 Santa Fiora
Provincia GROSSETO  Serie 50 320 Castel del piano
Regione TOSCANA   Serie 25 320 sez II Castel del Piano
Nazione ITALIA   Serie 25V 129 IVSO Arcidosso
Quote (m)  AttenzioneLe quote sono espresse in metri e troncate al metro
  A B C  
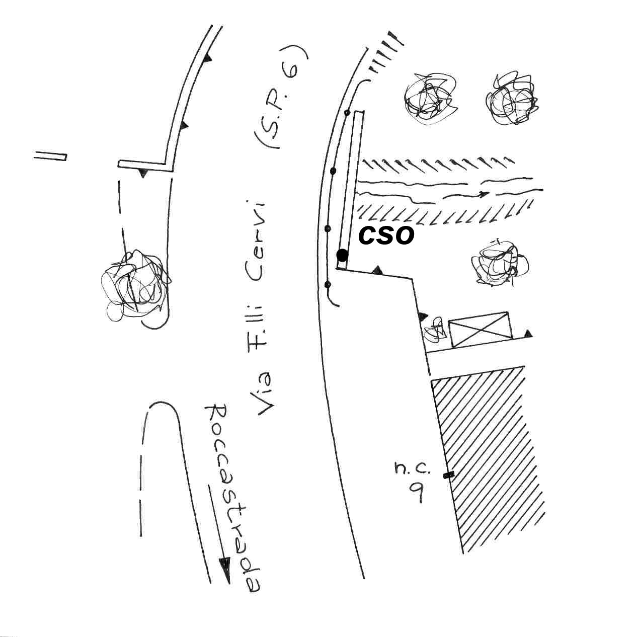
763 (CSO) - Centrino universale infisso sulla sommità della trave di un ponte, a valle lato Bagnore centro, nei pressi del n° civ. 9 di via F.lli Cervi.



Prog. Chilometrica (titolo e link)   Km 47,264 dal Caposaldo 0027#_###_015#
Ultima ricognizione 2007
Modalita' Caposaldo di livellazione
Immagini:



Monografia Foto 1 Foto2
(Clicca sulle immagini per ingrandire)
© 2015 Istituto Geografico Militare, vietata la copia e la divulgazione non autorizzata.
Message