Salta ai contenuti.Salta alla navigazione

Dal 9 dicembre 2025 al 12 gennaio 2026 compresi non sarà possibile effettuare acquisti sul nostro sito web. Potrete tornare a fare i vostri acquisti online dal 13 gennaio 2026.

Dal 9 dicembre 2025 al 12 gennaio 2026 compresi non sarà possibile effettuare acquisti sul nostro sito web. Potrete tornare a fare i vostri acquisti online dal 13 gennaio 2026.

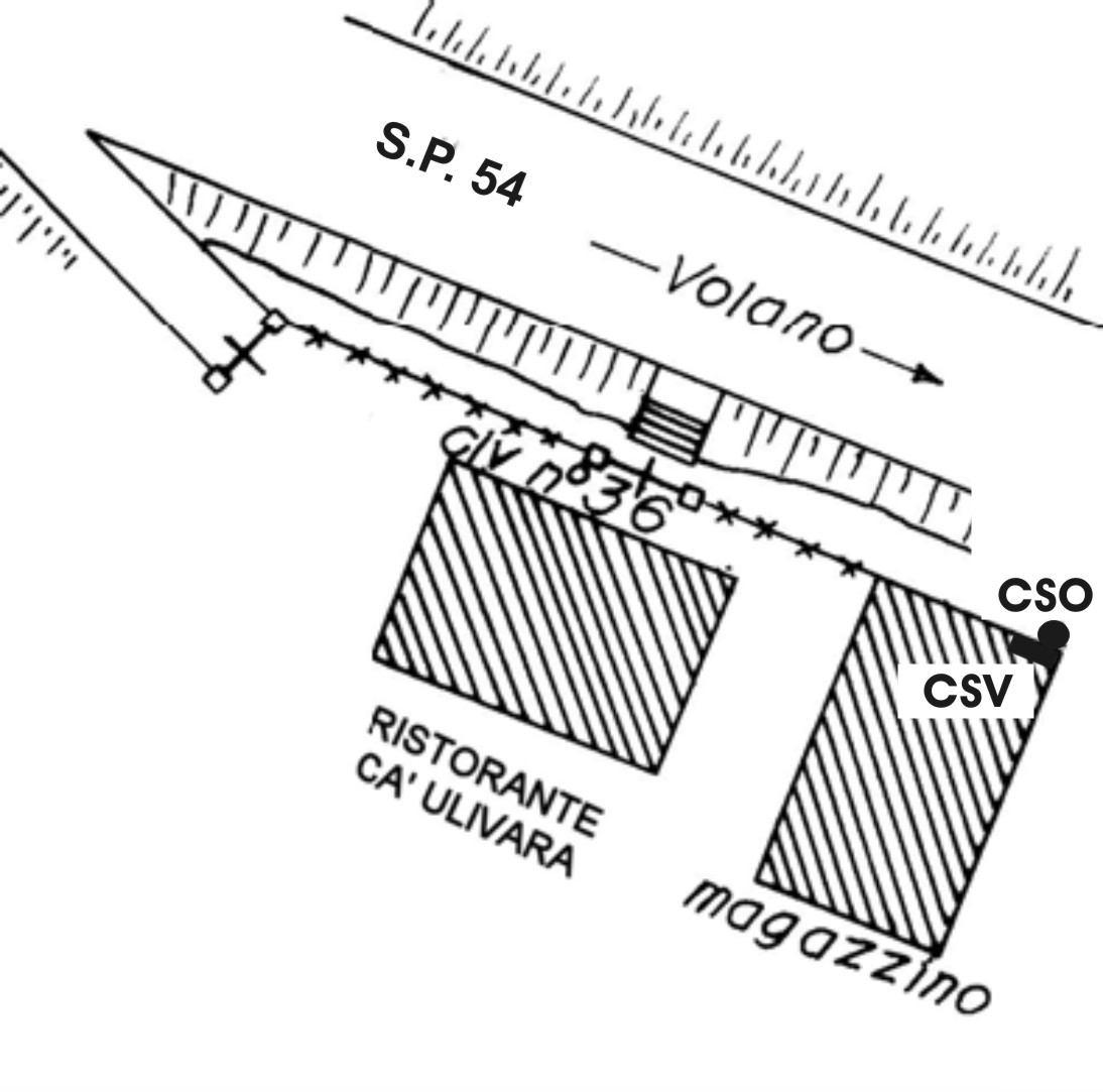
0169#_###_010# S.P. 54 KM. 5,900 (Ristorante Cà Ulivara)

0169#_###_010# S.P. 54 KM. 5,900 (Ristorante Cà Ulivara)
20.0 NETTO IVA 22.0%
  • Disponibilita'
  • Accedi al sito per procedere con l'acquisto
Ultimo aggiornamento DB 2018-11-06, Scheda generata il 07/11/2018.
caposaldi di livellazione scheda descrittiva
Prima di acquistare questo caposaldo si consiglia di scaricare la scheda della monografia presente in questa pagina, per verificare, con un sopralluogo, il buon stato di conservazione della materializzazione (a volte danneggiata da ristrutturazioni edili, stradali, eventi naturali, vandalismi ecc)
0169#_###_010#     S.P. 54 KM. 5,900
Coordinate
ROMA40   ETRF2000  
ROMA40 Φ       44° 48' 48"   ETRF2000 Φ       44° 48' 50"  
ROMA40 λ      -00° 15' 33"   ETRF2000 λ       12° 11' 34"  
 
Localita e Cartografia
Comune CODIGORO           Serie 100 077 Comacchio
Provincia FERRARA  Serie 50 187 Codigoro
Regione EMILIA ROMAGNA   Serie 25 187 sez II Goro
Nazione ITALIA   Serie 25V 077 IIINE Codigoro
Quote (m)  AttenzioneLe quote sono espresse in metri e troncate al metro
  A B C  
0 (CSO) - Bullone di altro Ente infisso sulla parete lato strada presso lo spigolo Nord-Est.
1 (CSV) - Piastrina di altro Ente posta in corrispondenza del CSO.


Prog. Chilometrica (titolo e link)   Km 8,838 dal Caposaldo 0019#_###_034P
Ultima ricognizione 2007
Modalita' Caposaldo di livellazione
Immagini:



Monografia Foto 1 Foto2
(Clicca sulle immagini per ingrandire)
© 2015 Istituto Geografico Militare, vietata la copia e la divulgazione non autorizzata.
Message