Salta ai contenuti.Salta alla navigazione

Dal 9 dicembre 2025 al 12 gennaio 2026 compresi non sarà possibile effettuare acquisti sul nostro sito web. Potrete tornare a fare i vostri acquisti online dal 13 gennaio 2026.

Dal 9 dicembre 2025 al 12 gennaio 2026 compresi non sarà possibile effettuare acquisti sul nostro sito web. Potrete tornare a fare i vostri acquisti online dal 13 gennaio 2026.

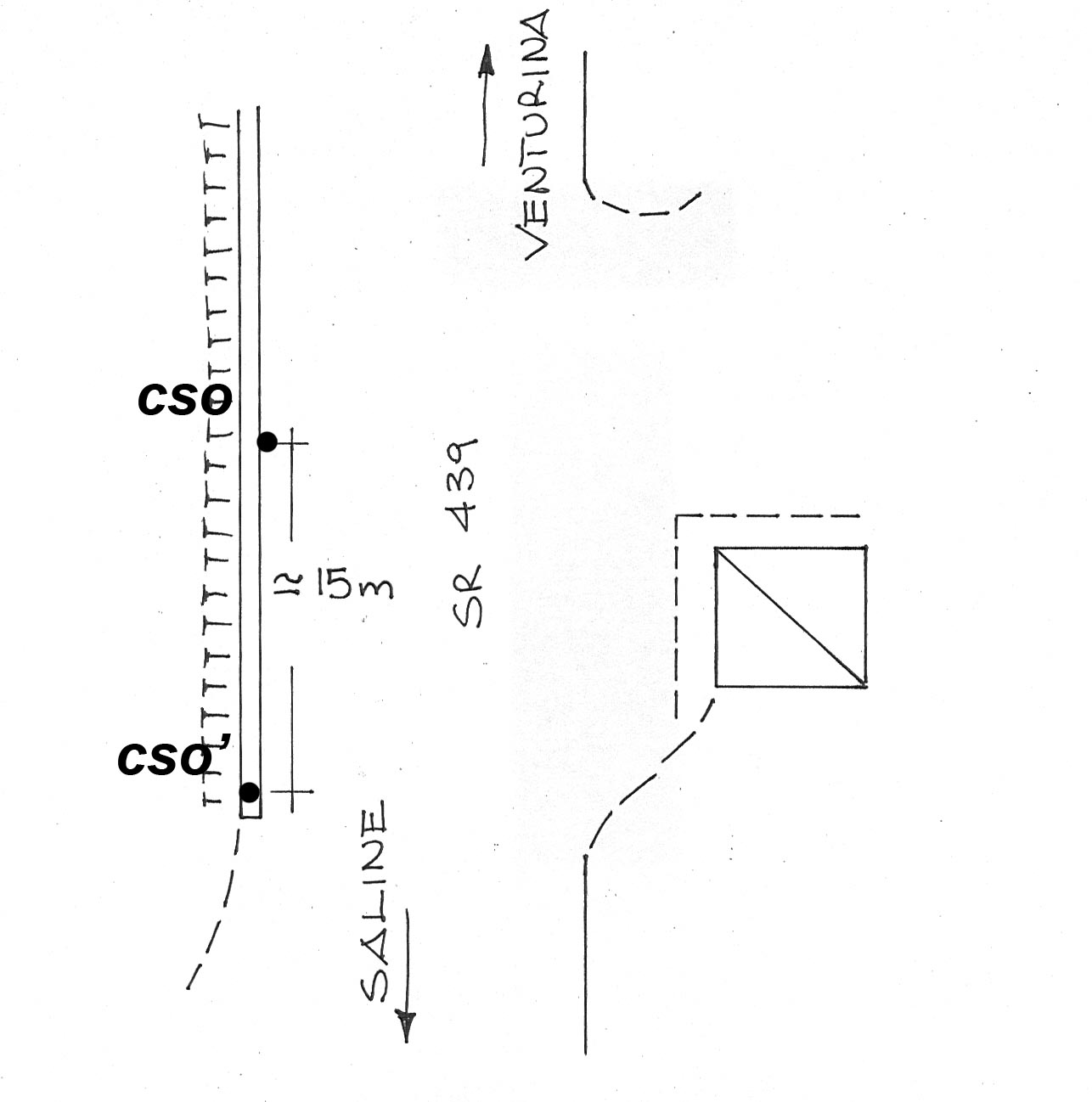
0163#_###_052# SR 439 KM 104,450 (Fronte baracca cantoniera)

0163#_###_052# SR 439 KM 104,450 (Fronte baracca cantoniera)
20.0 NETTO IVA 22.0%
  • Disponibilita'
  • Accedi al sito per procedere con l'acquisto
Ultimo aggiornamento DB 2018-11-06, Scheda generata il 07/11/2018.
caposaldi di livellazione scheda descrittiva
Prima di acquistare questo caposaldo si consiglia di scaricare la scheda della monografia presente in questa pagina, per verificare, con un sopralluogo, il buon stato di conservazione della materializzazione (a volte danneggiata da ristrutturazioni edili, stradali, eventi naturali, vandalismi ecc)
0163#_###_052#     SR 439 KM 104,450
Coordinate
ROMA40   ETRF2000  
ROMA40 Φ       43° 20' 57"   ETRF2000 Φ       43° 21' 00"  
ROMA40 λ      -01° 37' 24"   ETRF2000 λ       10° 49' 43"  
 
Localita e Cartografia
Comune VOLTERRA           Serie 100 112 Volterra
Provincia PISA  Serie 50 295 Volterra sud
Regione TOSCANA   Serie 25 295 sez IV Montecatini Val di Cècina
Nazione ITALIA   Serie 25V 112 IISE Volterra
Quote (m)  AttenzioneLe quote sono espresse in metri e troncate al metro
  A B C  
107 (CSO) - Bullone tipo IGM murato nel muro di sostegno davanti alla baracca cantoniera.
108 (CSO') - Chiodo anonimo tipo CNR infisso sul medesimo muro di sostegno.


Prog. Chilometrica (titolo e link)   Km 46,460 dal Caposaldo 0030#_###_022P
Ultima ricognizione 2006
Collegamento IGM95  
Modalita' Caposaldo di livellazione
Immagini:



Monografia Foto 1 Foto2
(Clicca sulle immagini per ingrandire)
© 2015 Istituto Geografico Militare, vietata la copia e la divulgazione non autorizzata.
Message