Salta ai contenuti.Salta alla navigazione

Dal 9 dicembre 2025 al 12 gennaio 2026 compresi non sarà possibile effettuare acquisti sul nostro sito web. Potrete tornare a fare i vostri acquisti online dal 13 gennaio 2026.

Dal 9 dicembre 2025 al 12 gennaio 2026 compresi non sarà possibile effettuare acquisti sul nostro sito web. Potrete tornare a fare i vostri acquisti online dal 13 gennaio 2026.

107605 RINCINE

107605 RINCINE
30.0 NETTO IVA 22.0%
  • Disponibilita'
  • Accedi al sito per procedere con l'acquisto
Ultimo aggiornamento DB 2021-01-01, Scheda generata il 01/01/2021.
IGM95 scheda descrittiva
Prima di acquistare questo punto IGM95 si consiglia di scaricare la scheda della monografia presente in questa pagina, per verificare, con un sopralluogo, il buon stato di conservazione della materializzazione (a volte danneggiata da ristrutturazioni edili, stradali, eventi naturali, vandalismi ecc)
107605     RINCINE
Cartografia Serie 25 264 sez II Dicomano
Serie 25V 107 IVSE Monte Falterona
Localizzazione
Nazione ITALIA
Regione TOSCANA
Provincia FIRENZE
Comune LONDA
Carabinieri LONDA
Coordinate Attenzione Le coordinate geografiche sono in gradi sessagesimali approssimate al secondo. Le coordinate piane e le quote sono espresse in metri con cifre significative fino al decametro.
ROMA40   ETRF2000   Quote
Φ 43° 51' 58"   Φ 43° 52' 01"   s.l.m. 760
λ -00° 50' 02"   λ 11° 37' 06"   Quote ellisoidica 800
F.O. N4860420 F.32 N4860430  
  E1710420   E710390  
F.E. N F.33 N  
  E   E  

Coordinate determinate nell'anno 2007  
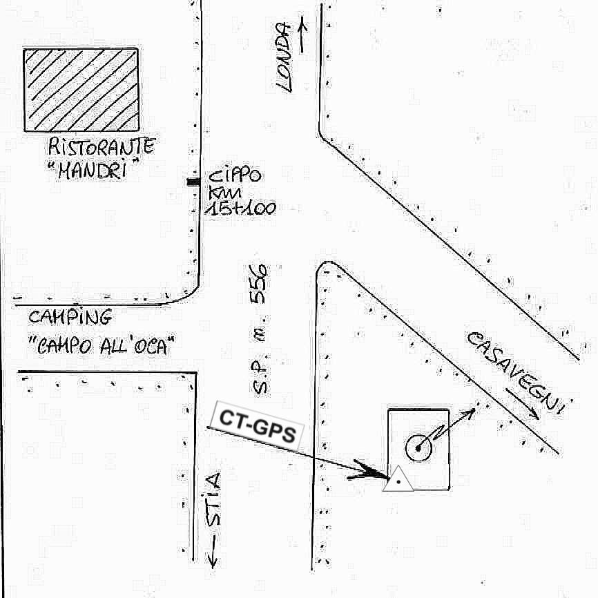
Materializzazione Centrino in acciaio inox infisso sul basamento del palo Enel posto in prossimità dell'incrocio tra la S.P. 556 e l'incrocio per Casavegni (km 15+100 della S.P. 556).
Accesso
Informazioni Ausiliare
Categoria del punto Rete secondaria di raffittimento
Quota s.l.m. Con quota derivata da caposaldo di livellazione (Rete Fond.)
Produttore Ente Pubblico
Segnalizzato 06/01/2006
Ultima ricognizione
Collegamenti R 0167# ### 094# Bulloncino inox orizz. tipo GPS DH = 0,000
Modalita' Vertice di raffittimento
Immagini:




Monografia Cartografia Foto 1 Foto2
(Clicca sulle immagini per ingrandire)
Message