Dal 9 dicembre 2025 al 12 gennaio 2026 compresi non sarà possibile effettuare acquisti sul nostro sito web. Potrete tornare a fare i vostri acquisti online dal 13 gennaio 2026.
Dal 9 dicembre 2025 al 12 gennaio 2026 compresi non sarà possibile effettuare acquisti sul nostro sito web. Potrete tornare a fare i vostri acquisti online dal 13 gennaio 2026.
Info
0162#_###_059# CASTELNUOVO DI GARFAGNANA (Centrale idroelettrica)
0162#_###_059# CASTELNUOVO DI GARFAGNANA (Centrale idroelettrica)
Prima di acquistare questo caposaldo si consiglia di scaricare la scheda della monografia presente in questa pagina, per verificare, con un sopralluogo, il buon stato di conservazione della materializzazione (a volte danneggiata da ristrutturazioni edili, stradali, eventi naturali, vandalismi ecc)
0162#_###_059#CASTELNUOVO DI GARFAGNANA
Coordinate:
ROMA40:
ETRF2000:
ROMA40 Φ:
44° 06' 34"
ETRF2000 Φ:
44° 06' 36"
ROMA40 λ:
-02° 02' 09"
ETRF2000 λ:
10° 24' 58"
Localita e Cartografia:
Comune:
CASTELNUOVO DI GARFAGNANA
Serie 100:
096 Massa
Provincia:
LUCCA
Serie 50:
250 Castelnuovo di Garfagnana
Regione:
TOSCANA
Serie 25:
250 sez IV Castelnuovo di Garfagnana
Nazione:
ITALIA
Serie 25V:
096 IINE Castelnuovo di Garfagnana
Quote (m):
Attenzione: Le quote sono espresse in metri e troncate al metro
A:
B:
C:
276
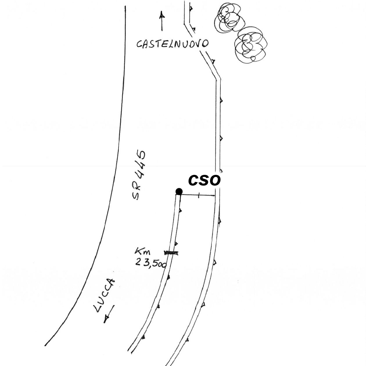
(CSO) - Bullone infisso sulla testa del muro di sostegno della strada a destra del cancello di accesso alla centrale
Questo sito utilizza esclusivamente cookie tecnici. Non raccogliamo i tuoi dati personali per la profilazione. Chiudendo questa finestra ne autorizzi l’uso. Per saperne di più leggi la nostra informativa sui cookie
This website uses technical cookies only. We don't collect your personal data for profiling purposes. By closing the banner (flagging the checkbox below and clicking on the button "Hide this message"), you are agreeing to our use of cookies.
For more information please visit the cookie policy page.