Salta ai contenuti.Salta alla navigazione

021061 DOSS CASTION

DOSS CASTION
10.0 NETTO IVA 22.0%
  • Disponibilita'
  • Accedi al sito per procedere con l'acquisto
Punti trigonometrici scheda descrittiva
Le schede monografiche dei punti trigonometrici non sono visibili poiche' al momento e' in corso la loro digitalizzazione: prima di acquistare il punto si consiglia di contattare l'archivio geodetico per avere maggiori informazioni
021061     DOSS CASTION
Cartografia Serie 25 060 sez IV Lavis
Serie 25V 021 IIINO Terlago
Localizzazione
Nazione ITALIA
Regione TRENTINO-ALTO ADIGE
Provincia TRENTO
Comune TERLAGO
Carabinieri VEZZANO
Coordinate Attenzione Le coordinate geografiche sono in gradi sessagesimali approssimate al secondo. Le coordinate piane e le quote sono espresse in metri con cifre significative fino al decametro.
ROMA40   ETRF2000   Quote
Φ 46° 06' 23"   Φ 46° 06' 26"   s.l.m. 750
λ -01° 24' 12"   λ 11° 02' 55"   Quote ellisoidica  
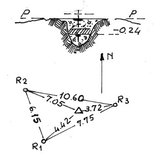
Materializzazione Segnale su un dosso ad Ovest di Monte Terlago. Centrini di fondo e di superficie cementati in blocchi di calcestruzzo. Riferimenti: tre centrini meetallici, cementati su roccia.
Accesso Da Terlago in 20 minuti di cammino.
Informazioni Ausiliare
Produttore IGM
Segnalizzato 1952
Modalita':  Vertici trigonometrici di certa definizione
Immagini:




Monografia
(Clicca sulle immagini per ingrandire)
Message